Verkocht
Verkocht: Vijfmorgen 4, 4254 CJ Sleeuwijk
Beschrijving
Fijn wonen in Sleeuwijk, een ideale gezinswoning op een rustige plek!In een prettige en rustige woonwijk van Sleeuwijk staat deze charmante twee-onder-een-kapwoning te koop. Een fijne gezinswoning met een praktische indeling, een diepe achtertuin, een garage en volop mogelijkheden om er helemaal je eigen thuis van te maken. De combinatie van een rustige ligging, het buitenzwembad Bijtelskil om de hoek en alle dagelijkse voorzieningen binnen handbereik maakt dit een plek waar je met plezier woont – nu én in de toekomst.
Goede ligging in het dorp
Vijfmorgen 4 is gelegen in een gemoedelijke buurt van Sleeuwijk. Op korte afstand vind je winkelcentrum De Nieuwe Es en Brede School De Esdoorn, met twee basisscholen, kinderopvang, gymzaal en bibliotheek. Daarnaast beschikt Sleeuwijk over twee scholen voor voortgezet onderwijs. Supermarkt, bakker en diverse (sport)verenigingen bevinden zich eveneens in de directe omgeving.
Liefhebbers van natuur kunnen heerlijk ontspannen in de uitgestrekte uiterwaarden, terwijl je dankzij de centrale ligging nabij de A27 binnen korte tijd in Gorinchem, Utrecht, Rotterdam of Breda bent.
De woning
Deze twee-onder-een-kapwoning is gebouwd in 1961 en staat op een perceel van 229 m². De woning beschikt over een woonoppervlak van circa 88 m² en heeft een inhoud van ongeveer 320 m³.
Zie jij jezelf hier al wonen? Maak vandaag nog een afspraak om deze buitenkans te bezichtigen!
Indeling
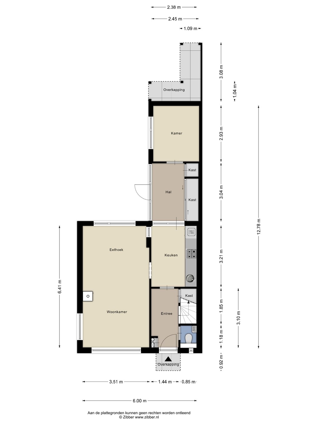
Begane grond
Via de entree aan de voorzijde kom je in de hal met toegang tot het toilet, de trap naar de eerste verdieping en de keuken. Vanuit de keuken bereik je zowel de woonkamer als de bijkeuken. De woonkamer is een prettige leefruimte met een fijne lichtinval en wordt extra sfeervol gemaakt door de houtkachel. De bijkeuken met opstelling van cv-installatie heeft een deur die toegang geeft tot het terras en de tuin. Vanuit de bijkeuken/hal kom je in een aparte ruimte welke nu in gebruik is als kantoor maar geschikt is voor diverse doeleinden.
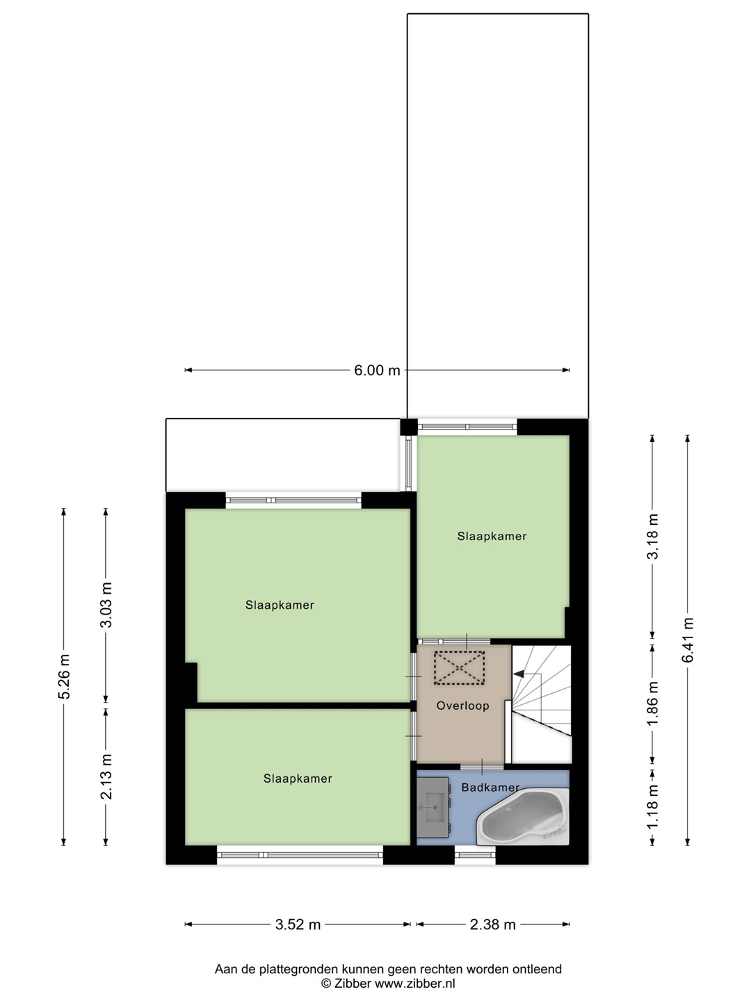
Eerste verdieping
Overloop met drie slaapkamers en een badkamer, voorzien van een ligbad en wastafelmeubel.
Tweede verdieping
Handige zolderverdieping bereikbaar via een vlizotrap, perfect voor opslag van seizoensspullen.
Tuin en garage
Dankzij de diepe tuin kun je hier de hele dag door van de zon genieten. Daarnaast biedt de tuin veel privacy, kortom een heerlijke plek om tot rust te komen en van het buitenleven te genieten. Het houthok in de tuin is multifunctioneel en kan naar wens anders worden gebruikt.
Aan de woning bevindt zich een garage, ideaal voor het parkeren van de auto, fietsen en extra opslag. Bovendien is op eigen terrein een ruime oprit aanwezig met plaats voor meerdere auto’s
Wij laten je graag kennismaken met het veelzijdige dorp Sleeuwijk en deze fijne twee-onder-een-kapwoning.
De kenmerken:
Bouwjaar : 1960
Dak woonhuis : vernieuwd in 2015
Verwarming : C.V.-ketel Remeha Quinta 28C bouwjaar 2005
Woonoppervlakte : 88,3 m2
Perceeloppervlakte : 229 m²
Inhoud : 320 m³
Bouwaard : traditioneel in spouw gebouwd.
Isolatie : dakisolatie, gevelisolatie, HR++ glas
Vloeren : betonnen begane grondvloer, houten verdiepingsvloeren
Ramen, deuren en kozijnen : hout (begane grond) en kunststof (verdieping)
Energielabel : C
Groepenkast : 8 groepen 16A en 2 aardlekschakelaars
Aanvaarding en oplevering : in overleg
Vigerende Bestemmingsplan : woonbestemming
Erfdienstbaarheid : nee
Enthousiast geworden? Wij laten je deze woning graag zien! Maak vrijblijvend een afspraak om deze woning te komen bezichtigen.
Van de koper wordt een waarborgsom of bankgarantie gevraagd van 10% van de koopsom, binnen 5 weken na het ondertekenen van de koopovereenkomst.
In de koopovereenkomst zal een ouderdomsclausule worden opgenomen.
De door Pullen Makelaardij o.g. verstrekte informatie dient uitsluitend te worden gezien als een uitnodiging tot nadere informatie, bezichtiging of het uitbrengen van een bod. Wijzigingen in uitvoering voorbehouden. Aan onvolkomenheden in de vermelde gegevens en schaal kunnen geen rechten worden ontleend.
Kenmerken
| Overdracht | |
|---|---|
| Referentienummer | VGP3000497 |
| Vraagprijs | € 405.000,- k.k. |
| Inrichting | Niet gestoffeerd |
| Inrichting | Niet gemeubileerd |
| Status | Verkocht |
| Aanvaarding | In overleg |
| Aangeboden sinds | Donderdag 5 februari 2026 |
| Laatste wijziging | Vrijdag 27 maart 2026 |
| Bouw | |
|---|---|
| Type object | Woonhuis, eengezinswoning, twee onder een kap woning |
| Soort bouw | Bestaande bouw |
| Bouwperiode | 1959 |
| Dakbedekking | Dakpannen |
| Type dak | Zadeldak |
| Isolatievormen | Dakisolatie HR-glas Muurisolatie |
| Oppervlaktes en inhoud | |
|---|---|
| Perceeloppervlakte | 229 m² |
| Woonoppervlakte | 88,3 m² |
| Inhoud | 320 m³ |
| Oppervlakte overige inpandige ruimten | 2,4 m² |
| Oppervlakte externe bergruimte | 15,4 m² |
| Indeling | |
|---|---|
| Aantal bouwlagen | 3 |
| Aantal kamers | 5 (waarvan 3 slaapkamers) |
| Aantal badkamers | 1 (en 1 apart toilet) |
| Locatie | |
|---|---|
| Ligging | In woonwijk Nabij school |
| Tuin | |
|---|---|
| Type | Achtertuin |
| Hoofdtuin | Ja |
| Oriëntering | Noorden |
| Heeft een achterom | Ja |
| Staat | Normaal |
| Energieverbruik | |
|---|---|
| Energielabel | C |
| CV ketel | |
|---|---|
| CV ketel | Remeha Quinta 28C |
| Warmtebron | Gas |
| Bouwjaar | 2005 |
| Combiketel | Ja |
| Eigendom | Eigendom |
| Uitrusting | |
|---|---|
| Aantal parkeerplaatsen | 3 |
| Aantal overdekte parkeerplaatsen | 1 |
| Warm water | CV-ketel |
| Verwarmingssysteem | Centrale verwarming |
| Parkeergelegenheid | Vrijstaande stenen garage |
| Glasvezelaansluiting aanwezig | Ja |
| Tuin aanwezig | Ja |
| Heeft een garage | Ja |
| Kadastrale gegevens | |
|---|---|
| Kadastrale aanduiding | Werkendam W 1335 |
| Perceeloppervlakte | 229 m² |
| Omvang | Geheel perceel |
| Eigendomsituatie | Eigen grond |