Nieuw in verkoop

Te koop: Sleeuwijksedijk 103, 4251 XE Werkendam

€ 289.000,- k.k.
Plan een bezichtiging

Beschrijving

Sfeervol wonen aan de dijk, dicht bij het centrum van Werkendam

In een rustige en geliefde woonomgeving van Werkendam staat deze charmante twee-onder-een-kapwoning uit 1910. De woning ademt karakter en sfeer en ligt op een prachtige locatie binnendijks bij de rivier de Merwede. Hier geniet je van een unieke combinatie van natuur, ruimte en dorpse gezelligheid.

Met een woonoppervlak van 77 m² en een perceel van 292 m² biedt deze woning voldoende ruimte voor een comfortabel thuis.

De locatie
Werkendam, in de gemeente Altena, staat bekend om zijn maritieme karakter, gemoedelijke sfeer en prachtige ligging aan het water, vlakbij Nationaal Park De Biesbosch. Ideaal voor liefhebbers van wandelen, varen en recreëren in de natuur. De dijken en het water zorgen voor indrukwekkende vergezichten.

Het gezellige centrum van Werkendam biedt een divers aanbod aan winkels, horecagelegenheden en andere voorzieningen. Daarnaast zijn er meerdere basisscholen en goede verbindingen naar Gorinchem, Breda en Utrecht. De veerdienst naar Gorinchem ligt op korte afstand, ideaal voor werk, school of een dagje uit.

Kortom: Werkendam combineert rust en bruisend leven met een waterrijke omgeving en alle dagelijkse voorzieningen dichtbij.

Indeling

Begane grond
Via de entree aan de zijkant kom je binnen in de hal, met trapopgang naar de eerste verdieping en toegang tot de woonkamer. De woonkamer is een gezellige leefruimte met houten vloer en sfeervolle houtkachel, perfect voor de wintermaanden.

De keuken heeft een praktische hoekopstelling en biedt toegang tot de tuin. Vanuit de keuken is een gang bereikbaar met het toilet en de kelder – een koele, praktische ruimte voor het opslaan van provisie.

Eerste verdieping
Op de eerste verdieping vind je drie slaapkamers, allen met een houten vloer, en de volledig betegelde badkamer. De badkamer is voorzien van een ligbad met douchegelegenheid, wastafel met meubel en een toilet.

Tuin en tuinhuis
De op het zuidoosten gelegen tuin is verdeeld over twee niveaus en biedt volop zon. Achter in de tuin staat een tuinhuis, ideaal voor opslag of als hobbyruimte.

Interesse?
Ben je op zoek naar een knusse woning op een toplocatie in Werkendam? Wacht dan niet langer en plan vandaag nog een bezichtiging!

De kenmerken:
Bouwjaar : 1910
Verwarming : Centrale verwarming, cv-ketel merk Intergas HR eco 24
Bouwjaar cv-ketel : 2017
Woonoppervlakte : 77 m2
Perceeloppervlakte : 192 m2
Inhoud : 292 m³
Bouwaard : traditioneel gebouwd in spouw
Isolatie : niet geïsoleerd
Vloeren : betonnen begane vloer, houten tweede verdiepingsvloer
Ramen, deuren en kozijnen : hout
Energielabel : G
Elektra : 8 groepen 16A en 2 aardlekschakelaars
Aanvaarding en oplevering : in overleg
Vigerende Bestemmingsplan : woonbestemming,

Aanvaarding en oplevering in overleg.
Van de koper wordt een waarborgsom of bankgarantie gevraagd van 10% van de koopsom, binnen 6 weken na het ondertekenen van de koopovereenkomst.
In de koopovereenkomst zal een ouderdomsclausule worden opgenomen.

De door Pullen Makelaardij o.g. verstrekte informatie dient uitsluitend te worden gezien als een uitnodiging tot nadere informatie, bezichtiging of het uitbrengen van een bod. Wijzigingen in uitvoering voorbehouden. Aan onvolkomenheden in de vermelde gegevens en schaal kunnen geen rechten worden ontleend.

Kenmerken

Overdracht
Referentienummer VGP3000501
Vraagprijs € 289.000,- k.k.
Inrichting Niet gestoffeerd
Inrichting Niet gemeubileerd
Status Nieuw in verkoop
Aanvaarding In overleg
Aangeboden sinds Donderdag 19 maart 2026
Bouw
Type object Woonhuis, eengezinswoning, twee onder een kap woning
Soort bouw Bestaande bouw
Bouwperiode 1910
Dakbedekking Dakpannen
Type dak Zadeldak
Oppervlaktes en inhoud
Perceeloppervlakte 192 m²
Woonoppervlakte 77 m²
Inhoud 290 m³
Oppervlakte overige inpandige ruimten 6,5 m²
Indeling
Aantal bouwlagen 2
Aantal kamers 4 (waarvan 3 slaapkamers)
Aantal badkamers 1 (en 1 apart toilet)
Locatie
Ligging Aan rustige weg
Beschutte ligging
In centrum
Tuin
Type Achtertuin
Oriëntering Zuiden
Heeft een achterom Ja
Staat Normaal
Energieverbruik
Energielabel G
CV ketel
CV ketel Intergas HR Eco 24
Warmtebron Gas
Bouwjaar 2017
Combiketel Ja
Eigendom Eigendom
Uitrusting
Warm water CV-ketel
Verwarmingssysteem Centrale verwarming
Houtkachel
Badkamervoorzieningen Ligbad
Toilet
Wastafel
Tuin aanwezig Ja
Telefoonaansluiting aanwezig Ja
Heeft schuur/berging Ja
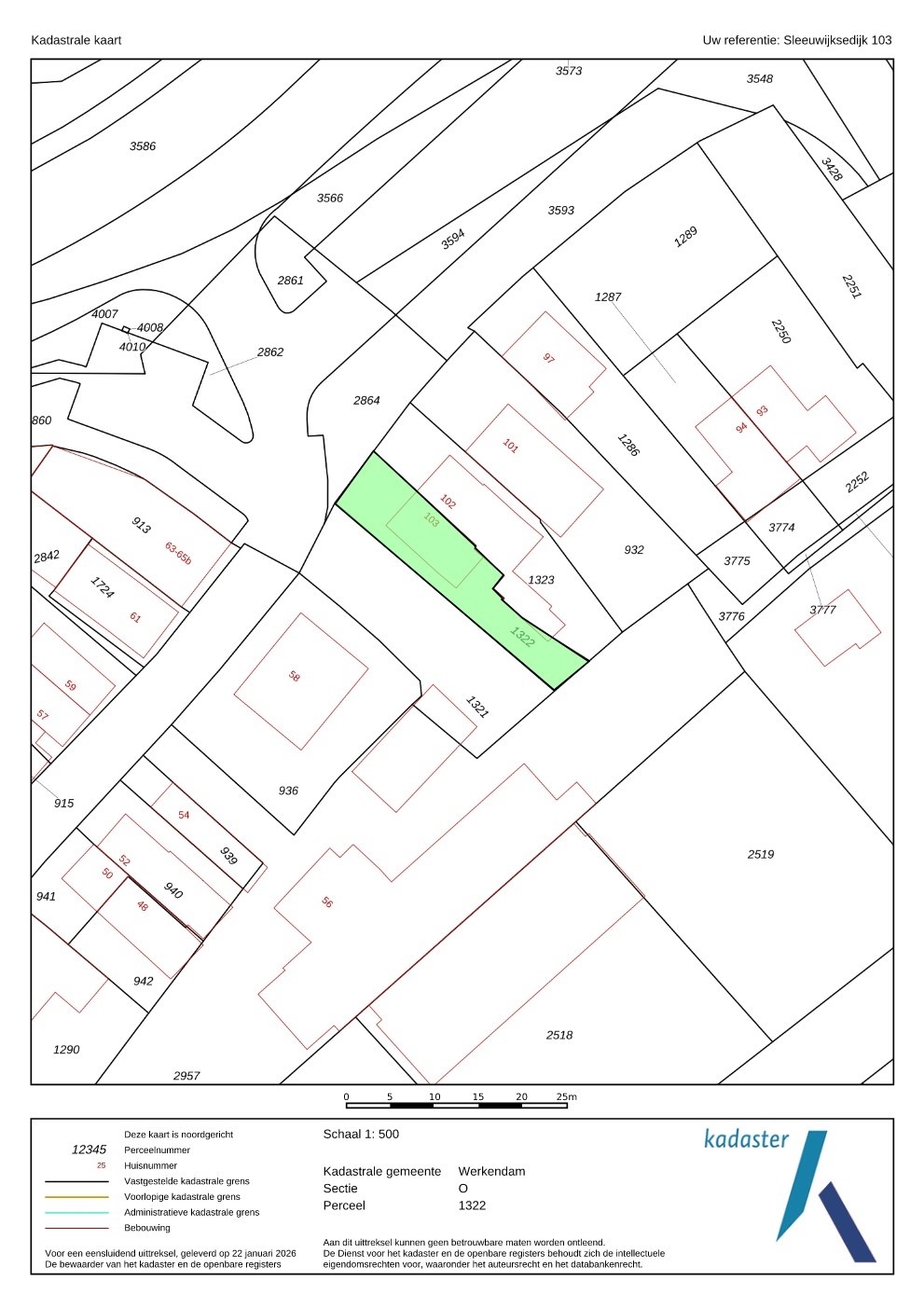
Kadastrale gegevens
Kadastrale aanduiding Werkendam O 1322
Perceeloppervlakte 192 m²
Omvang Geheel perceel
Eigendomsituatie Eigen grond
Neem contact met mij op
Sluiten

Recent bekeken